Omschrijving
Algemeen: De functionele bedrijfspanden met kantoor zijn gelegen in een kleinschalig bedrijvencomplex op een prominente locatie aan de Westvlietweg in de oksel van de rijkswegen A-4, A-13 en A-12 (Utrechtsebaan). Directe buren zijn onder andere Wasco en DHL. Het bedrijvencomplex wordt 's- avonds afgesloten middels een elektrisch bedienbaar hekwerk.
Bereikbaarheid: Het bedrijvencomplex is goed bereikbaar vanaf respectievelijk de Rijksweg A-12 (Den Haag - Utrecht v.v.) en de A-13 (Den Haag - Rotterdam v.v.) en de A-4 (Den Haag - Amsterdam v.v.), evenals vanuit het centrum van Voorburg, Den Haag en Rijswijk.
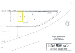
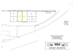
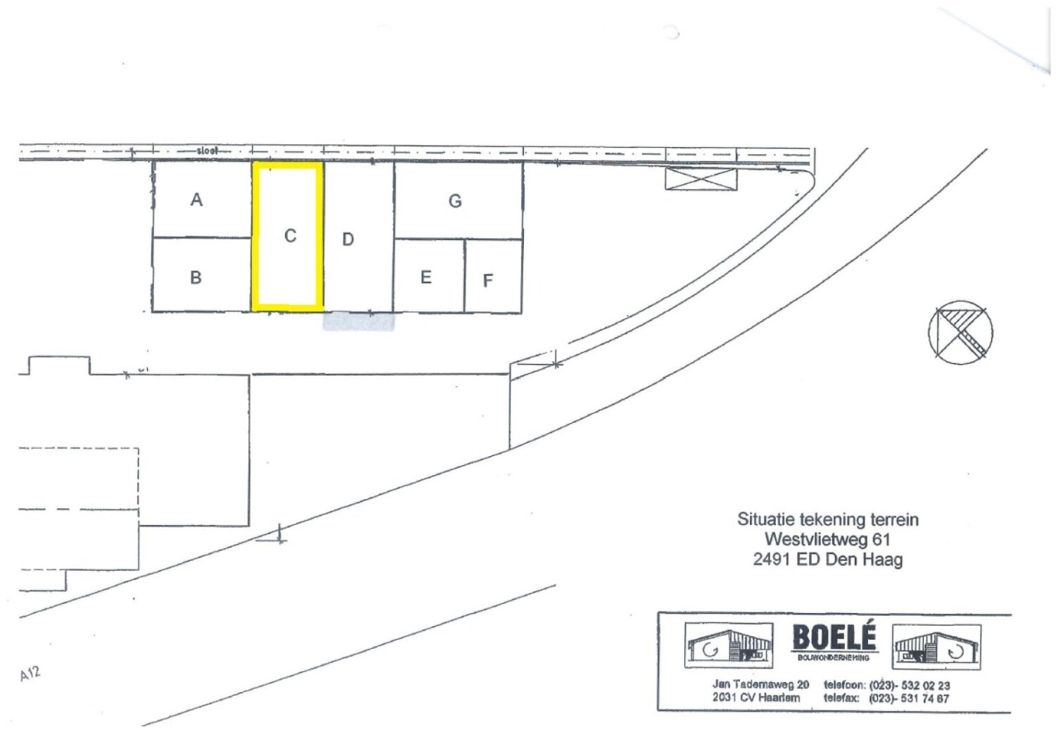
Adres: Westvlietweg 61c, 2491 ED te Den Haag
Kadastrale gegevens:
Gemeente: 's-Gravenhage
Sectie: BC
Nummer: 3195
Bouwjaar: Omstreeks 2004.
Metrage: Momenteel is het navolgende bedrijfspand met kantoor beschikbaar:
Westvlietweg 61c te Den Haag
Begane grond bedrijfsruimte circa 825 m² v.v.o.
Begane grond kantoorruimte circa 127 m² v.v.o.
de oppervlakte is gemeten volgens NEN 2580 .
Parkeren: 4 parkeerplaatsen gelegen op eigen terrein.
Bestemming: Bedrijfsdoeleinden B-3. Binnen het vigerende bestemmingsplan is de bedrijfsruimte bestemd voor industriële en groothandelsbedrijven in de categorieën 1 t/m 3.
Opleveringsniveau:De bedrijfsruimte wordt opgeleverd in huidige staat dat wil zeggen voorzien van onder andere:
* glad afgewerkte betonvloer met een maximale vloerbelasting van circa 2.500 kg/m²;
* vrije hoogte van circa 7 meter;
* elektrisch bedienbare overheaddeur;
* loopdeur direct naast de overheaddeur;
* toilet voorzien van fontein;
* lichtstraten;
* krachtstroomaansluiting(en);
* industriële verlichtingsarmaturen;
* nooduitgang;
* buitenverlichting.
De kantoorruimte wordt opgeleverd in huidige staat dat wil zeggen voorzien van onder andere:
* centrale verwarming (Remeha) v.v. radiatoren met thermostaatkramen;
* systeemplafonds met (ingebouwde) verlichtingsarmaturen;
* houten kozijnen voorzien van dubbel glas;
* te openen ramen;
* pantry;
* brandslanghaspels en vluchtwegsignalen.
HUURVOORWAARDEN
Huurprijs: € 90.000,-- per jaar te vermeerderen met de wettelijk verschuldigde omzetbelasting.
Huurtermijn: 5 jaar met de mogelijkheid de huurovereenkomst 5 jaar te verlengen.
Opzegtermijn: 12 maanden voor expiratie huurovereenkomst per aangetekend schrijven of bij deurwaardersexploot.
Oplevering: In overleg, op korte termijn mogelijk.
Huurbetaling: Per kwartaal vooruit.
Huurprijsaanpassing: Jaarlijks, zal per huuringangsdatum, voor het eerst 12 maanden na huuringangsdatum, de huurprijs worden aangepast op basis van de wijziging van het maandprijsindexcijfer volgens de consumentenprijsindex (CPI) reeks alle huishoudens (2006 = 100), gepubliceerd door het Centraal Bureau voor de Statistiek (CBS).
Service- en energiekosten: € 275,-- per maand te vermeerderen met de wettelijk verschuldigde omzetbelasting als voorschot te voldoen met naverrekening voor de kosten van onder andere:
* onderhoud en keuringen brandblusmiddelen;
* onderhoud en keuringen overheaddeuren;
* onderhoud en keuringen CV ketels;
* schoonmaken dak en goten;
* terreinonderhoud, waaronder leegzuigen riolering en pomp;
* toegang systeem hekwerken en het hekwerk zelf;
* camera systeem CCTV;
* gevel schoonmaak;
* 5% administratiekosten.
Huurder dient zelf zorg te dragen voor de aanvraag voor levering van gas, water en elektra.
Huurovereenkomst: Standaard huurovereenkomst kantoorruimte en andere bedrijfsruimte in de zin van artikel 7:230a BW, vastgesteld door de Raad van Onroerende Zaken (ROZ) in januari 2015. Van deze huurovereenkomst maken deel uit de algemene bepalingen kantoorruimte en andere bedrijfsruimte in de zin van artikel 7:230a BW, welke op 17 februari 2015 gedeponeerd zijn bij de griffie van de rechtbank Den Haag en aldaar zijn ingeschreven onder nummer 15/21.
Zekerheidsstelling: Bij ondertekening van de huurovereenkomst, zal huurder een bankgarantie stellen ter grootte van drie maanden huurverplichting te vermeerderen met (eventuele) servicekosten en de wettelijk verschuldigde omzetbelasting.
Voorbehoud:
- positief kredietinformatierapport ter beoordeling van verhuurder;
- goedkeuring directie verhuurder.
Kenmerken
Overdracht
- Huurprijs
- € 90.000,- p.j. (21% BTW)
- Servicekosten
- € 275,- p.m.
- Status
- beschikbaar
- Aanvaarding
- in overleg
Bouw
- Type
- Bedrijfsruimte
- Soort bouw
- bestaande bouw
- Bouwjaar
- 2004
- Onderhoud binnen
- goed
- Onderhoud buiten
- goed
Locatie
- Ligging
- bedrijventerrein
- Snelweg afrit
- 500 m - 1000 m
Bedrijfshal
- Oppervlakte
- 825 m²
- Vrije hoogte
- 700 cm
- Vloerbelasting
- 2500 kg / m2
- Voorzieningen
- Betonvloer, Krachtstroom, Lichtstraten, Overhead deuren, Pantry, Toilet
Kantoorruimte
- Oppervlakte
- 127 m²
- Verdiepingen
- 2
- Voorzieningen
- Inbouwarmaturen, Te openen ramen
Parkeren
- Niet overdekt
- 4


















